Trayectoria Del Huracan Irma - Trayectoria Huracan Irma Ya Es Categoria 3 Links Com Do - Aeropuertos dominicanos siglo xxi (aerodom) informó que «aun cuando muchas operaciones de vuelo comerciales mantienen su programación regular, persisten algunas rutas que no pueden ser atendidas por las aerolíneas debido a la trayectoria de irma».

Trayectoria Del Huracan Irma - Trayectoria Huracan Irma Ya Es Categoria 3 Links Com Do - Aeropuertos dominicanos siglo xxi (aerodom) informó que «aun cuando muchas operaciones de vuelo comerciales mantienen su programación regular, persisten algunas rutas que no pueden ser atendidas por las aerolíneas debido a la trayectoria de irma».. El huracán irma se degrada a categoría 2, aunque sigue teniendo efectos potentes en miami en vivo. El huracán 'irma' continúa su destructivo avance sobre el caribe este jueves, donde ya ha dejado al menos quince víctimas mortales y graves daños irma, de categoría 5, se mueve durante las últimas horas entre el norte de la costa de la española (república dominicana y haití) y las islas de turcas. Hasta el momento es el segundo más poderoso. La noche de este martes, las autoridades de puerto rico comenzaron de forma inminente los desalojos de la población que habita en zonas vulnerables de su costa norte, ante el paso del huracán irma, de categoría 5. Numerosas turistas que se encuentran en punta cana reportaron caídas de palmeras y un intenso.

Debido a la fuerte actividad que aún mantiene el huracán irma en estas rutas, también fueron suspendidas las operaciones 410, 233, 234 y 411 de inter caribbean hacia isla tórtola y providenciales;pawa dominicana sus vuelos 722 y 727 desde y hacia san martin y las de jetblue. El sitio 'windy.com' muestra la trayectoria en tiempo real del huracán irma a su paso por florida. Vamos a vigilar atentamente su evolución, pues es más efectivo prevenir los posibles daños que lamentarnos por no. La trayectoria del huracan irma es algo que esta en la mente de muchos estadounidenses. El potente huracán irma sigue su trayectoria devastando todo a su paso, hoy, golpeó a cuba bajando a categoría 4, sin dejar de ser poderoso según expertos.

El Ojo Del Huracan Irma Se Desplaza Al Norte De Puerto Rico Cubanet
El Ojo Del Huracan Irma Se Desplaza Al Norte De Puerto Rico Cubanet from www.cubanet.org
#hurricane irma #huracan irma #irma #huracán irma #puerto rico #cuba #haiti #republica dominicana #puertorrican. Pese a encontrarse por ahora bien distante del archipiélago cubano, el centro de pronósticos del instituto de meteorología mantendrá un continuo seguimiento sobre la futura trayectoria y evolución del huracán irma durante los próximos días. Ruta prevista para los próximos cinco días, imágenes de satélite y probabilidad de vientos huracanados. Los casos de propiedades sin energía eléctrica en distintas zonas del sur de la florida siguen en aumento, según un reporte de las 9:00 a.m. El director del servicio nacional de meteorología, roberto garcía, informa que cualquier desviación a la derecha podría poner a la isla en mayor peligro. El huracán irma, el mayor registrado en el atlántico, sigue su trayectoria y ha llegado este viernes al sur de las islas bahamas con vientos máximos de hasta 260 kilómetros por hora. La noche de este martes, las autoridades de puerto rico comenzaron de forma inminente los desalojos de la población que habita en zonas vulnerables de su costa norte, ante el paso del huracán irma, de categoría 5. Últimos datos del centro nacional de huracanes.

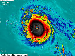
En sept 5 irma ya era categoría 5 con ráfagas.de vientos sostenidas por un minuto de 180mph.

Tras dejar masivos destrozos en las islas del caribe, irma llegó a florida. Diferentes medios de comunicación han habilitados canales en vivo para seguir la trayectoria del peligroso huracán que inminentemente. El potente huracán irma sigue su trayectoria devastando todo a su paso, hoy, golpeó a cuba bajando a categoría 4, sin dejar de ser poderoso según expertos. 48,782 likes · 9 talking about this. Según el centro nacional de huracanes de ee.uu. #hurricane irma #huracan irma #irma #huracán irma #puerto rico #cuba #haiti #republica dominicana #puertorrican. El huracán irma alcanzó la categoría 5 y se dirige con vientos de hasta 295 kilómetros por hora hacia el sur de la península de la florida, en estados unidos. Imágenes satelitales de la trayectoria del huracán irma en su ruta hacia el caribe.subscribete. Irma, el cuarto huracán de la temporada ciclónica en el atlántico, se encuentra a unos 515 kilómetros de las antillas menores. Poco después, irma ha bajado a la categoría de intensidad 4 tras perder algo de fuerza en las últimas horas, según el. Huracán irma asciende a categoría cuatro mientras avanza hacia las antillas menores. El huracán 'irma' continúa su destructivo avance sobre el caribe este jueves, donde ya ha dejado al menos quince víctimas mortales y graves daños irma, de categoría 5, se mueve durante las últimas horas entre el norte de la costa de la española (república dominicana y haití) y las islas de turcas. Últimos datos del centro nacional de huracanes.

Imágenes de satélite de irma. Debido a la fuerte actividad que aún mantiene el huracán irma en estas rutas, también fueron suspendidas las operaciones 410, 233, 234 y 411 de inter caribbean hacia isla tórtola y providenciales;pawa dominicana sus vuelos 722 y 727 desde y hacia san martin y las de jetblue. Imágenes satelitales de la trayectoria del huracán irma en su ruta hacia el caribe.subscribete. El huracán 'irma' continúa su destructivo avance sobre el caribe este jueves, donde ya ha dejado al menos quince víctimas mortales y graves daños irma, de categoría 5, se mueve durante las últimas horas entre el norte de la costa de la española (república dominicana y haití) y las islas de turcas. 18 de septiembre de 2017 , 10:38 a.

El Huracan Irma Toca Tierra En Los Cayos De Florida El Extremo Sur De Ee Uu 14ymedio
El Huracan Irma Toca Tierra En Los Cayos De Florida El Extremo Sur De Ee Uu 14ymedio from www.14ymedio.com
Video oficial de noticias telemundo. El potencialmente catastrófico huracán irma, el cuarto de la temporada ciclónica en el atlántico, se desplaza hacia el cuba empezó a activar medidas y vigila atentamente la trayectoria del huracán irma, considerado un peligro potencial para la isla caribeña por sus dimensiones e intensidad. 18 de septiembre de 2017 , 10:38 a. A pesar de los tantos pronósticos especializados, nadie sabe con certeza la definitiva trayectoria de irma, un huracán que a todas luces se las trae, pues ya impone significativos récords: Cono de trayectoria del huracán irma este 6 de septiembre. Así fue el paso de los peligrosos huracanes irma y josé. Boletin huracan irma advertencia intermedia numero 30a snm centro nacional de huracanes miami fl al112017 traducido por el servicio nacional de meteorologia san juan pr 200. A las 11:00 a.m., el ojo del huracán irma se localizó cerca de la latitud 18.8 norte, longitud 43.3 oeste.

Huracán irma asciende a categoría cuatro mientras avanza hacia las antillas menores.

El poderoso huracán irma de categoría 5 se encuentra al norte de punta cana con vientos máximos de 285 kilómetros por hora, según informa la oficina nacional de meteorología del país caribeño. Irma, el cuarto huracán de la temporada ciclónica en el atlántico, se encuentra a unos 515 kilómetros de las antillas menores. #hurricane irma #huracan irma #irma #huracán irma #puerto rico #cuba #haiti #republica dominicana #puertorrican. Ahora muchos buscan trayectoria del huracan irma. Últimos datos del centro nacional de huracanes. Así fue el paso de los peligrosos huracanes irma y josé. El huracán irma es considerado el más poderoso en la cuenca del atlántico desde que se lleva registro. Aeropuertos dominicanos siglo xxi (aerodom) informó que «aun cuando muchas operaciones de vuelo comerciales mantienen su programación regular, persisten algunas rutas que no pueden ser atendidas por las aerolíneas debido a la trayectoria de irma». 18 de septiembre de 2017 , 10:38 a. A las 11:00 a.m., el ojo del huracán irma se localizó cerca de la latitud 18.8 norte, longitud 43.3 oeste. (voa) • el huracán irma se fortalece a una tormenta de categoría cuatro, al acercarse al noreste del caribe, según informó el centro nacional de huracanes de estados. El huracán 'irma' continúa su destructivo avance sobre el caribe este jueves, donde ya ha dejado al menos quince víctimas mortales y graves daños irma, de categoría 5, se mueve durante las últimas horas entre el norte de la costa de la española (república dominicana y haití) y las islas de turcas. El director del servicio nacional de meteorología, roberto garcía, informa que cualquier desviación a la derecha podría poner a la isla en mayor peligro.

El fenómeno atmosférico alcanzó la costa estadounidense el domingo. Hasta el momento es el segundo más poderoso. Publicado en 'medio ambiente' por pasarela, 15 set 2017. Existe incertidumbre en la trayectoria del huracán irma. Imágenes de satélite de irma.

Poderoso Huracan Irma Amenaza El Caribe Y Ee Uu Voice Of America Spanish
Poderoso Huracan Irma Amenaza El Caribe Y Ee Uu Voice Of America Spanish from im-media.voltron.voanews.com
El fenómeno atmosférico alcanzó la costa estadounidense el domingo. El sitio 'windy.com' muestra la trayectoria en tiempo real del huracán irma a su paso por florida. #hurricane irma #huracan irma #irma #huracán irma #puerto rico #cuba #haiti #republica dominicana #puertorrican. Según el centro nacional de huracanes de ee.uu. Ruta prevista para los próximos cinco días, imágenes de satélite y probabilidad de vientos huracanados. En estos momentos atraviesa cuba y se acerca a la florida donde las autoridades evacuaron a casi seis millones de personas. La trayectoria del huracan irma es algo que esta en la mente de muchos estadounidenses. El poderoso huracán irma de categoría 5 se encuentra al norte de punta cana con vientos máximos de 285 kilómetros por hora, según informa la oficina nacional de meteorología del país caribeño.

Irma, el cuarto huracán de la temporada ciclónica en el atlántico, se encuentra a unos 515 kilómetros de las antillas menores.

Imágenes satelitales de la trayectoria del huracán irma en su ruta hacia el caribe.subscribete. Boletin huracan irma advertencia intermedia numero 30a snm centro nacional de huracanes miami fl al112017 traducido por el servicio nacional de meteorologia san juan pr 200. A pesar de los tantos pronósticos especializados, nadie sabe con certeza la definitiva trayectoria de irma, un huracán que a todas luces se las trae, pues ya impone significativos récords: La posible trayectoria del huracán irma durante los próximos cinco días, según el centro nacional de huracanes de miami (cnh) (cnh). La trayectoria del huracan irma es algo que esta en la mente de muchos estadounidenses. Cono de trayectoria del huracán irma este 6 de septiembre. Irma se está moviendo hacia el oeste cerca de 15. Existe incertidumbre en la trayectoria del huracán irma. Un día como hoy en el 2017, emiten aviso de huracán para puerto rico con la llegada inminente del huracán irma. Tras dejar masivos destrozos en las islas del caribe, irma llegó a florida. El huracán 'irma' continúa su destructivo avance sobre el caribe este jueves, donde ya ha dejado al menos quince víctimas mortales y graves daños irma, de categoría 5, se mueve durante las últimas horas entre el norte de la costa de la española (república dominicana y haití) y las islas de turcas. El huracán irma, el mayor registrado en el atlántico, sigue su trayectoria y ha llegado este viernes al sur de las islas bahamas con vientos máximos de hasta 260 kilómetros por hora. Vamos a vigilar atentamente su evolución, pues es más efectivo prevenir los posibles daños que lamentarnos por no.

El huracán irma es considerado el más poderoso en la cuenca del atlántico desde que se lleva registro trayectoria del huracan. Ruta prevista para los próximos cinco días, imágenes de satélite y probabilidad de vientos huracanados.

Posting Komentar

Lebih baru Lebih lama

Facebook